
Health
Why is it important?
Health testing is very important, it allows us to look at the dogs health and see if fit for breeding. It protects the long term health of the breed and allow us to produce puppies that will less likely develop theses issues that cut theirs lives so short. Just because a dog “looks” healthy does not mean they are. Many genetic diseases develop in later life, and it is likely if they are breeding from a younger animal.
The future implications for puppies are vast, from compromised quality of life to behavioral issues. There are many many thousands of instances where young dogs and puppies are affected by arthritis, blindness, heart problems, hearing problems. These are life limiting issues for dogs and many of them are preventable. No one wants to breed dogs that are at risk of living in pain, so that's why we test our dogs.
​
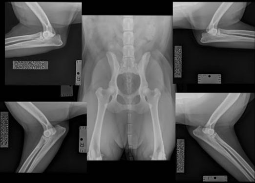
There is no regulation for health testing dogs for breeding and registering with the UK Kennel Club. KC registration is not an indicator of the health or quality of a dog as even puppy farmers can still KC register pups. However, most show and work breeders, and those who are linked to them, all health test to what the breed calls for. In Rottweilers the tests suggested are the LEMP, JLPP, XLMTM, NAD, DM Exon 2, Hips and Elbows.
What is LEMP? Its a neurological disorder, called leukoencephalomyelopathy (LEMP). LEMP is a recessively inherited neurodegenerative disorder that affects the white matter of the central nervous system (CNS). Canine LEMP is characterized by slowly worsening gait abnormalities, especially spontaneous knuckling, dragging of the paws and hypermetria of the thoracic limbs, and a characteristic pattern on magnetic resonance imaging (MRI). Affected dogs show corresponding gross lesions in the cervical spinal cord white matter that may extend to the thoracic spinal cord, as well as to the brain; peripheral nerve and muscle biopsies are unremarkable. Canine LEMP often shows a juvenile onset and is characterized by a generalized progressive ataxia. Spinal reflexes of affected dogs are mostly normal. In the progressive clinical course of the disease, affected dogs may become increasingly immobile within a few months. Like many diseases of the CNS, there is no effective treatment for LEMP. Since in most cases the dog is not in pain, but is strongly restricted in its quality of life, owners are encouraged to ask a veterinarian for advice. The way this is prevented is by testing and making sure the carriers do not breed to other carriers or affected dogs, as there is no cure.
​
​

Clear to Clear this is the ideal Breeding Pair, puppies will not have the disease gene either as carrier or affected
​
Clear to Carrier, breeding is Safe, no affected puppies will be produced. However, some or all puppies will be carriers. Accordingly, it is recommended that carrier dogs which are desirable for breeding, be bred with clear dogs in the future, which will produce 50% carrier dogs, and 50% clear animals, to further reduced the disease gene frequency. These offspring should be tested for this defective gene, and if appropriate (alongside other considerations), only the clear animals in this generation should be used.
​
Carrier to Affected, this is a high Risk Breeding. Some puppies may be carriers, and some puppies may affected. Although there may be some clear puppies when breeding carrier to carrier, this type of breeding is strongly not recommended.
​
Affected to Affected, this breeding not recommended. All puppies will be genetically affected.
​
Here are some links to learn more about this condition: https://www.youtube.com/watch?v=cWaVcXpfypE , https://vgl.ucdavis.edu/test/lemp , https://www.thekennelclub.org.uk/health-and-dog-care/health/getting-started-with-health-testing-and-screening/dna-testing/dna-test-lemp/ ,
​
What is LEMP? Its a neurological disorder, called leukoencephalomyelopathy (LEMP). LEMP is a recessively inherited neurodegenerative disorder that affects the white matter of the central nervous system (CNS). Canine LEMP is characterized by slowly worsening gait abnormalities, especially spontaneous knuckling, dragging of the paws and hypermetria of the thoracic limbs, and a characteristic pattern on magnetic resonance imaging (MRI). Affected dogs show corresponding gross lesions in the cervical spinal cord white matter that may extend to the thoracic spinal cord, as well as to the brain; peripheral nerve and muscle biopsies are unremarkable. Canine LEMP often shows a juvenile onset and is characterized by a generalized progressive ataxia. Spinal reflexes of affected dogs are mostly normal. In the progressive clinical course of the disease, affected dogs may become increasingly immobile within a few months. Like many diseases of the CNS, there is no effective treatment for LEMP. Since in most cases the dog is not in pain, but is strongly restricted in its quality of life, owners are encouraged to ask a veterinarian for advice. The way this is prevented is by testing and making sure the carriers do not breed to other carriers or affected dogs, as there is no cure.
​
​

Clear to Clear this is the ideal Breeding Pair, puppies will not have the disease gene either as carrier or affected
​
Clear to Carrier, breeding is Safe, no affected puppies will be produced. However, some or all puppies will be carriers. Accordingly, it is recommended that carrier dogs which are desirable for breeding, be bred with clear dogs in the future, which will produce 50% carrier dogs, and 50% clear animals, to further reduced the disease gene frequency. These offspring should be tested for this defective gene, and if appropriate (alongside other considerations), only the clear animals in this generation should be used.
​
Carrier to Affected, this is a high Risk Breeding. Some puppies may be carriers, and some puppies may affected. Although there may be some clear puppies when breeding carrier to carrier, this type of breeding is strongly not recommended.
​
Affected to Affected, this breeding not recommended. All puppies will be genetically affected.
​
Here are some links to learn more about this condition: https://www.youtube.com/watch?v=cWaVcXpfypE , https://vgl.ucdavis.edu/test/lemp , https://www.thekennelclub.org.uk/health-and-dog-care/health/getting-started-with-health-testing-and-screening/dna-testing/dna-test-lemp/ ,
​






